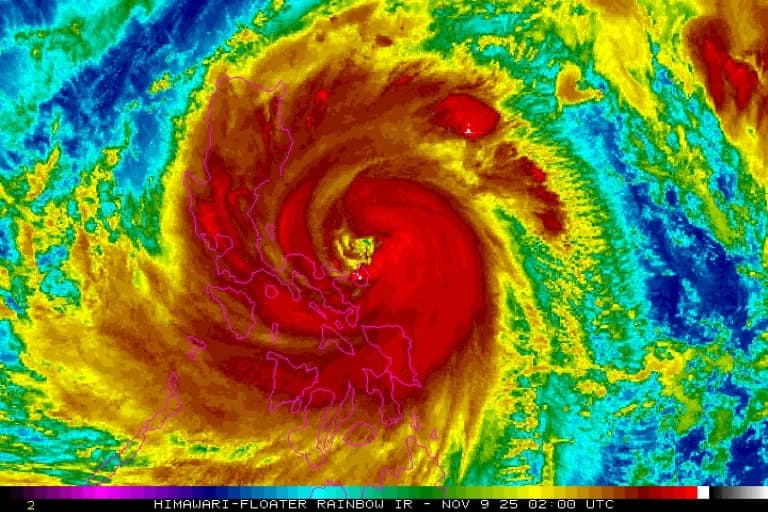
Više od 1,2 miliona evakuisano — supertajfun Fung‑wong noću će pogoditi istočnu obalu Filipina, najmanje dve žrtve

Više od 1,2 miliona ljudi evakuisano je pred noćni udar supertajfuna Fung‑wong, koji se očekuje u provinciji Aurora između 20:00 i 23:00 (1200–1500 GMT). Do sada su prijavljene dve smrtne žrtve, dok su talasi i...





















